On October 7, 2021, we learned that one of the U.S. Navy’s prized Seawolf class nuclear fast attack submarines—one of just three ever built—had suffered a serious underwater collision. The incident supposedly occurred while the USS Connecticut (SSN-22) was operating in or very near the tumultuous South China Sea. The damaged submarine subsequently limped its way to Guam so that the damage can be assessed. Thankfully, nobody on board died and the vessel’s nuclear reactor remained in a safe condition.
Exactly what Connecticut hit remains a mystery, but many have expressed their utter puzzlement to us as to how a multi-billion dollar nuclear submarine that is laden with some of the most capable sensors on the planet — literally one of the most advanced vehicles mankind has ever built — can just run into something below the waves.

With that question in mind, we reached out to veteran submariner Aaron Amick, a friend and contributor to the site and the proprietor of Sub Brief, who spent 20 years as a sonarman aboard America’s attack and ballistic missile submarine force, as well as an instructor to new sonarmen. If anyone could give us the bottom line on how incidents like this can keep happening, as well as what would have happened aboard Connecticut after the collision and what might come next for some of the crew, he could.
Just as we thought, he certainly did just that. Here is our exchange:
What are the pitfalls and blind spots that could result in a multi-billion dollar submarine loaded with the most advanced sensors on earth colliding with something underwater?
Submarine navigation requires very detailed knowledge of the immediate surrounding area. There are two common methods of achieving safe, submerged navigation: Detailed charts and active high-frequency sonar employment.
Highly accurate charts are always the first choice. Active sonar transmissions are used to confirm the water depth checks with the chart. These active sonar pulses can be transmitted in front and to the sides of modern submarines. These short-range, high-frequency sonar systems reveal nearby underwater objects with great clarity. Submerged objects, such as mines, wrecks, and other submarines are plainly visible to a trained sonar operator.
The downside to the use of active sonar is that it is detectable and at approximately two times the range it allows the operator to search, in most ocean environments. A typical high-frequency, high-resolution sonar may see out to 5,000 yards and is vulnerable to detection out to least 10,000 yards or farther in good conditions. This means an adversary can localize a submarine’s position, and it can remain undetected while trailing the active-sonar emitting submarine for as long as it uses its high-resolution sonar.

This vulnerability to detection is why active sonar is rarely used. If bottom-mapping sonars verify the submarine’s position on the chart, there is less need to use a high-frequency, forward-looking sonar that may reveal your position.
U.S. Navy charts are the most accurate charts in use today. They are digital (with paper backups), which allows them to be updated more frequently. Ideally, every sub in the U.S. Navy has the most recent chart that accurately reflects reality outside the hull. In practice, we have found that this is not always the case. Some areas of the world have tens of yards between soundings, these blind spots may hide topographical formations that rise up from the bottom into a submarine’s operating envelope.
If a submarine is operating in an area where they suspect the presence of adversary submarines, they may choose to not use high-frequency active sonar to verify surrounding topography. This, as described earlier, is because the sonar transmissions will give away their position if detected. This means the submarine relies on accelerometer dead-reckoning for the ship’s position.
This type of navigation has very small errors that compound over time. Eventually, the submarine can be out of position by hundreds of yards or more. The error grows with time until the next navigational fix. There are ways to fix the submarine’s position that doesn’t involve sonar, but they don’t reveal what topography is hidden between soundings on a chart.
How can other submarines and the emergence of unmanned underwater vehicles be a factor?
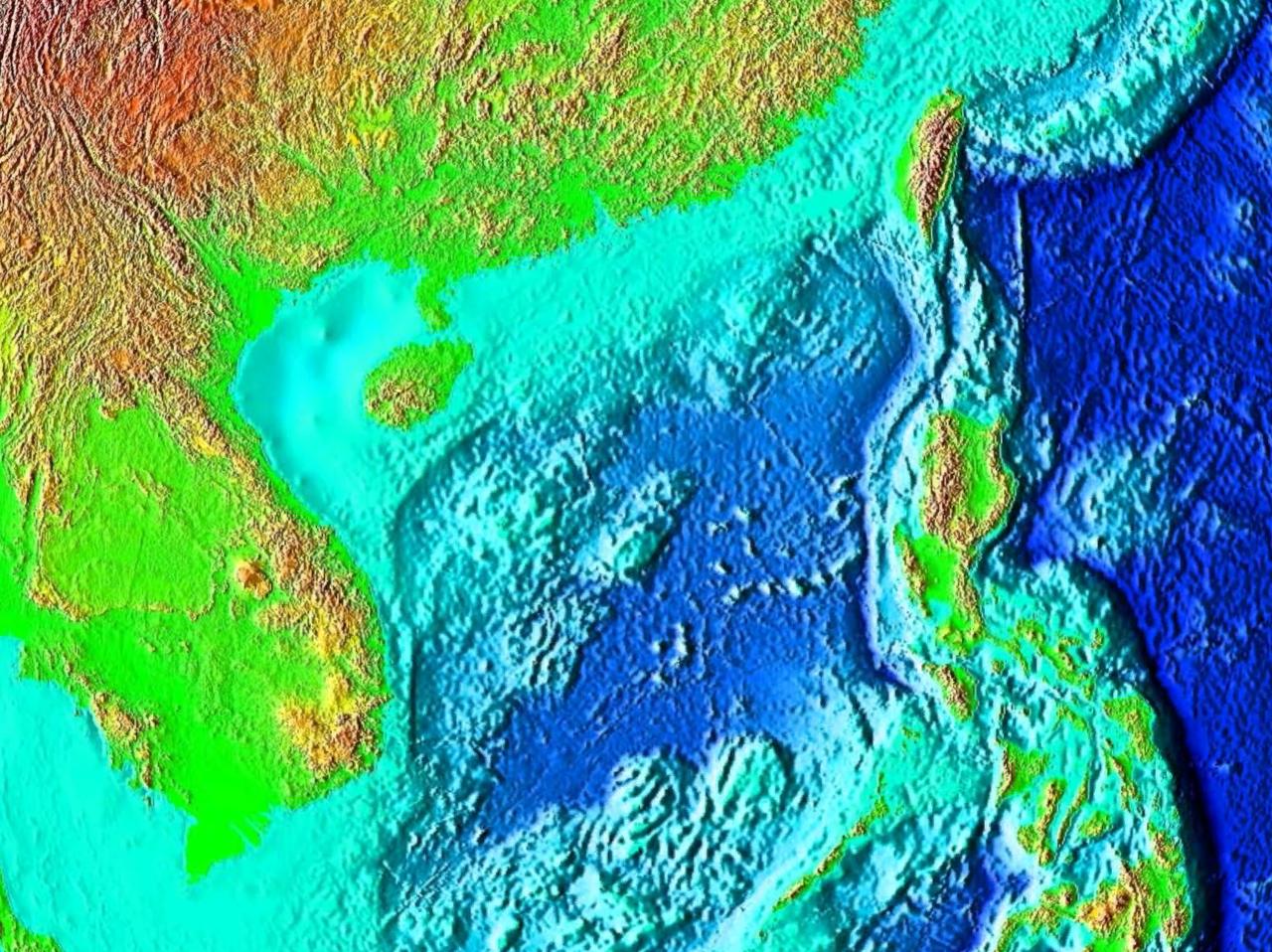
Collision with manned submarines in the South China Sea is a very real concern. The body of water is bordered by many nations that operate conventional and nuclear-powered submarines. China operates the largest submarine base in Asia, Yulin Naval Base, in the South China Sea. At any time, there could be multiple submarines operating in the area.

Cooperative nations like Australia and Vietnam work with allies to manage water space and avoid collisions. This helps mitigate the risk of collision. Other countries that do not deconflict submarine operations pose a real risk to themselves and other submarines.
The risk of submarine collision in the South China Sea is more likely than in other areas of the world because it’s a very busy area for vessels of all types, including submarines. The increased activity makes passive sonar less effective. Submarines can, and will, hide in noisy areas to mask their passive broadband signature with background noise. The means two submarines may pass very close to each other, and neither will hear the other, if background noise is loud enough to mask both submarines.
Unmanned underwater vehicles are changing the way we operate submarines. UUVs can operate in very shallow or restricted waters that a nuclear submarine would not be able to. UUVs use a combination of sonars and artificial intelligence to navigate submerged with less risk to human life. If a UUV runs aground, it doesn’t risk damaging a nuclear reactor or injuring crewmen because it has neither. This capability has put UUVs in high demand and employed by many navies around the globe.
The South China Sea is supposedly very challenging to navigate for submarines in some areas, especially large types. Is its unique underwater ‘littoral’ topography a major issue?
The topography of the South China Sea is very difficult to navigate because of its high tectonic activity. The bottom is in a constant state of change. Some areas of the South China Sea are very deep, with sudden changes in depth to very shallow, near vertical-like structures that can rise to the surface.

These pinnacles are navigation hazards and, if not detected in time, may result in a submerged collision. Measuring bottom depth below the submarine may not give it enough time to maneuver out of the way of a near-vertical topographical change just ahead.
What generally would happen inside a submarine when a collision occurs? Is the decision to limp back to port under the submarine’s own power a challenging one to make?
The standard procedure during a collision while submerged is to immediately move shallow and maintain positive buoyancy on the trim. The Collision Alarm is sounded. All hands report to predetermined damage control stations with gear in hand. An announcement is made over the 1MC circuit, and all spaces will report damage to Damage Control Central (DC Central). Any additional damage like flooding or fire as a result of collision will be dealt with by the crew and coordinated by the person in charge in DC Central.
As the submarine comes shallow, the Officer of the Deck will determine if it is safe to surface immediately. If it is safe, the submarine will come straight up to the surface and assess the situation. This all happens in a matter of seconds. Having good situational awareness at all times is key to safe recovery from any casualty and prevents compounding the casualty by colliding again with an overhead vessel.

At this point, the submarine will not submerge again if the hull is compromised in any way. If the sonar dome is damaged, for example, there may be more damage in the ballast tanks that is not visible. Therefore, the submarine will remain on the surface until it returns to port.
The largest concern, after crew safety, is the nuclear power plant. Containment is very important and will be checked immediately. The pumps and valves that service these high-pressure, high-temperature systems are very robust and designed to withstand shock, but systems checks will be run on every system in the engine room to ensure nuclear safety.
Historically speaking, what happens to commanders of boats where collisions have occurred in the past?
Historically speaking, the Commanding Officer will be relieved of command at the earliest opportunity. A command qualified officer from the Submarine Squadron will typically take command unceremoniously and an announcement will be made to the crew. The Executive Officer will not take command, typically.

The investigation will determine who else may be at fault. The Navigator, Assistant Navigator and Quartermaster on watch will very likely be disqualified from their station, at the very least. The investigation will check equipment operation, watchstander logs, and immediate actions during the collision to determine who else is disciplined.
Every piece of equipment that moves on a submarine is carefully balanced. From gyroscopes to seawater pumps, every piece of gear will have to be checked and probably replaced to retain a quiet posture going forward. This will require a lot of drydock time and follow-on trials.
Contact the editor: Tyler@thedrive.com