American Airlines Flight 2292, an Airbus A320 flying between Cincinnati and Phoenix on February 21st, 2021, had a bizarre close encounter with what its crew described as a “long cylindrical object that almost looked like a cruise missile” moving extremely fast over the top of their aircraft as it cruised along at 36,000 feet and 400 knots. The incident occurred over the remote northeast corner of New Mexico, to the west of the tiny town of Des Moines.
Steve Douglass, an experienced radio interceptor and the proprietor of Deep Black Horizon, told The War Zone that he was recording from his arsenal of scanners when he heard the strange transmission. The War Zone has reviewed over an hour of audio that Douglass has provided to us from before and after the strange radio call. We are working to authenticate it from the FAA and get further information and comment from the agency on the event. We have also reached out to American Airlines for any additional details they can provide.

From Steve’s blog on the encounter:
At approximately 1:19 CST on the Albuquerque Center frequency of 127.850 MHz or 134.750 MHz (recording wasn’t frequency stamped) the pilot reported: “Do you have any targets up here? We just had something go right over the top of us – I hate to say this but it looked like a long cylindrical object that almost looked like a cruise missile type of thing – moving really fast right over the top of us.”
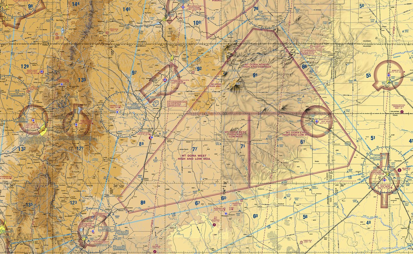
According to Flight 24 and Flight Aware AAL 2292 was over the northeast corner of New Mexico west of Clayton, New Mexico. No reply was monitored by Albuquerque Center because local (Amarillo) air traffic walked on top of it. AAL 2292 was near flight level 370 (37k) at the time of the report.
No significant military aircraft presence was noted on ADS-B logs.
The aircraft flew on to land in Phoenix, AZ.
Steve has provided the radio clip for download, you can listen to it here.
The incident is very similar to one that occurred in the same region almost exactly three years ago, which The War Zone
was the first to report on. During that event, a Learjet and an Airbus both had consecutive close encounters with an unidentified object that flew over the top of them while cruising at around 37,000 feet over eastern Arizona. Later, the highly experienced Learjet pilot, which was flying for military contractor Phoenix Air, described to local news outlets just how strange the encounter was. His description is somewhat similar to the one from another odd encounter we reported on that occurred off of Long Island.
The description of a missile-like object also fits with some of the documented encounters U.S. Navy fighter pilots had with anomalous objects off the eastern seaboard throughout the last decade. The War Zone
published official reports that we obtained through the Freedom of Information Act (FOIA) as a result of our deeper investigation into seemingly unexplained encounters between U.S. Navy fighter crews and strange objects during that same period of time that mentions similar descriptions.
As to what the pilots aboard American Airlines Flight 2292 could have actually seen, we really cannot say at this time. Many will point out that New Mexico is home to the sprawling White Sands Missile Range (WSMR) along with a bevy of other military facilities, installations, and restricted areas. Still, the chances that a missile could have ‘gone off the reservation’ during a test or some other standard military explanation seems unlikely. There are procedures in place for this sort of thing and pilots would have been alerted to the safety hazard.
In addition, the notion that it could be some sort of clandestine aircraft is also highly improbable, as it would have been operating during the day and without communicating with air traffic control over unrestricted airspace. That being said, we need to point out that the Mount Dora Military Operating Area (MOA) is in that area, but the airline pilots would have been alerted to the airspace being ‘hot’ and to other potential conflicts. In addition, it isn’t a place where a munition like a cruise missile would be let loose.

The events over Northern California and Oregon in October 2017, another case that The War Zone broke, shows that there is at least some precedent for unknown aircraft operating in highly trafficked airspace, even up into the flight levels where airliners fly. In that case, F-15s were scrambled to investigate after the object was observed for a long period of time by multiple airliners. Years after our initial investigation into that incident, all of our sources say it remains unexplained even at the highest levels.
We will let you know what we hear back from the FAA and American Airlines.
UPDATE:
American Airlines has confirmed the incident. Our new story can be found here.
Contact us with any information you have on this strange event: Tyler@thedrive.com